Villa singola in vendita

Manfredonia, Contrada Bissanti - Monticchio
€ 380.000
7 locali 7 locali
149 Mq 149 Mq
2 bagni 2 bagni

Villa singola in vendita

Manfredonia, Contrada Bissanti - Monticchio

Descrizione annuncio

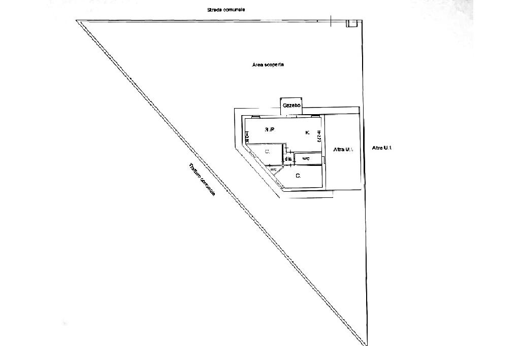
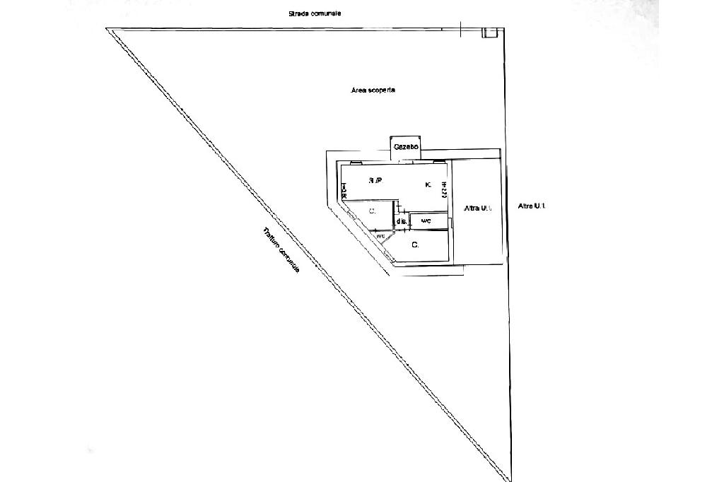
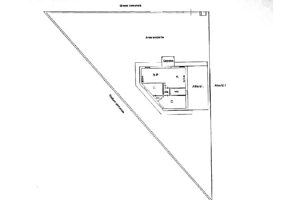
Per la soluzione in oggetto ci spostiamo poco fuori dal centro cittadino, precisamente in zona San Giuseppe, nei pressi della struttura sportiva EDEN.

Trattasi di villa unifamiliare con una superificie interna di circa 150 mq, all'interno dei quali troviamo un'ampia na giorno openspace con camino a vista , zona cucina ampia, con accesso diretto nella
zona piscina; da qui mediante un comodo disimpegno è possibile raggiungere la zona notte, dotata di doppia camera e doppi servizi.

Esternamente disponiamo di ulteriori 850 mq di corte totalmente pavimentata, di cui una piccola porzione scoperta, perfetta per dedicarsi alla cura di un po' di verde.
Per completare questa splendida soluzione , è stata installata una confortevole piscina da esterno rivestita in legno, spazio ideale per giornate all'insegna del relax.

La soluzione è fornita da gas liquido , con bombolone esterno interrato, ed è da considerarsi termoautonoma mediante impianto di termocamino, oltre a climatizzazione con sistema Split a soffitto. Ovviamente la soluzione si predispone facilmente alla commutazione dell'impianto esistente al fotovoltaico , rendendo la propria dimora totalmente GREEN.

L'unità e stata edificata soltanto nel 2013, rispecchiando le motodologie di costruzione e il design moderno.

La soluzione è momentaneamente occupata dei proprietari.

Siamo a vostra completa disposizione per fornirvi ulteriori informazioni e per fissare un appuntamento. Potrete, inoltre, usufruire della consulenza GRATUITA di un esperto Kiron, società partner di mediazione creditizia, qualora desideriate ottenere informazioni per una eventuale richiesta di sulle nostre pagine Facebook 'Tecnorete Manfredonia Monticchio' e Instagram 'tecnorete_manfredonia' per rimanere sempre aggiornati.

Mostra tutto

Nelle vicinanze

Trasporto pubblico Trasporto pubblico
Manfredonia
Manfredonia
2,4 Km
Marino Bus Stop
Marino Bus Stop
1,9 Km
Scuole Scuole
Scuola Media G. Ungaretti
260 m
Scuola Elementare Madre Teresa di Calcutta IV Circolo
490 m
Liceo Classico Aldo Moro
790 m
Istituto Comprensivo "Giordani - De Sanctis"
830 m
Istituto Tecnico per Geometri "Euclide"
890 m
Farmacia Farmacia
Salcuni Vaira Dottoressa Lucia
300 m
Prencipe dr. Raffaele
420 m
Parafarmacia Conad
1,1 Km
Moderna
1,4 Km
Querques dr.ssa Maria Pia
2,0 Km
Ospedali Ospedali
Ospedale San Camillo De Lellis
980 m
Pronto Soccordo Ospedale San Camillo De Lellis
1,0 Km
Supermercati Supermercati
Conad
1,0 Km
EuroSpin
1,7 Km
Supermercati
2,2 Km
Sigma
2,3 Km
Famila
2,3 Km
Negozi Negozi
Negozi
440 m
Quitadamo
1,6 Km
S. Matteo
1,7 Km
Antico Sapore del Pane
2,1 Km
il Forno
2,3 Km
Bar Bar
Bar Impero
1,8 Km
flamingo
2,2 Km
Ristoranti Ristoranti
Calafuria
1,2 Km
Pizzeria del Largo
1,6 Km
Il Baracchio
1,6 Km
Mostra tutto

Caratteristiche

Rif.:
61129245
Piano:
Terra di 1
Totale piani:
1
Camere da letto:
2
Arredamento:
Assente
Condizionamento:
Autonomo
Mostra tutto
Prezzo Prezzo
€ 380.000
Rata mutuo Rata mutuo
€ 1.813 / mese
Spese annue Spese annue
€ 0
Proponi il tuo prezzoProponi il tuo prezzo

Classe Energetica

G
G
G
G
G
G
G
G
G
Anno di costruzione:
2013
Riscaldamento:
Autonomo
Tipo impianto:
Ad aria
Tipo alimentazione:
Gasolio

Ti interessa visionare l'immobile?

Fissa un appuntamento  Fissa un appuntamento

Richiedi informazioni

Clicca su Leggi per aprire l'informativa
* Questi campi sono obbligatori

Calcola il tuo mutuo

Semplice e senza impegno
Anticipo

( % )
Mutuo

( % )

pochi semplici passi

inserisci i tuoi dati
Questionario completato
Grazie per aver richiesto un appuntamento senza impegno con un nostro Consulente del Credito e Assicurativo.

Hai inserito correttamente tutti i dati necessari e a breve riceverai una e-mail con un link da convalidare per inviare i tuoi dati.
Affiliato
Studio San Michele Srl
Via Tribuna, 220 71043 Manfredonia (FG)

Il nostro staff


  • Michele Prencipe
    Affiliato

  • Pasquina Bernabotto
    Collaboratrice

  • Maria Pia Ognissanti
    Coordinatrice

  • Niko Gatta
    Collaboratore

  • Michele Arciuolo
    Collaboratore

  • Matteo Sportelli
    Responsabile

  • Antonio Sportelli
    Collaboratore

  • Federica Tavano
    Coordinatrice
Via Tribuna, 220 71043 Manfredonia (FG)
Zona: Manfredonia-Monticchio
Mostra su mappa
Orari: mattina 09.00-13.00 pomeriggio16.00-20.30
Affiliato
Studio San Michele Srl
Via Tribuna, 220 71043 Manfredonia (FG)

2026 Tecnocasa Franchising S.p.A. - P. IVA 08365160152 - Via Monte Bianco 60/A 20089 Rozzano (MI). Ogni agenzia ha un proprio titolare ed è autonoma. Privacy policy | Policy utilizzo | Cookie policy